| 제목 : 안면도 우럭낚시체험 피싱게이트 선단 리치호 6월22일 오후시간배 출항! | |||||||||||||||||||||||||||||||||||||||||||||||||||||||||||||||||||||||||||||||||||||||||||||||||||||||||||||||||||||||||||||||||||||||||||||||||||||||||||||||||||||||||||||||||||||||||||||||||||||||||||||||||||||||||||||
| 등록일 : 2025-06-23 | |||||||||||||||||||||||||||||||||||||||||||||||||||||||||||||||||||||||||||||||||||||||||||||||||||||||||||||||||||||||||||||||||||||||||||||||||||||||||||||||||||||||||||||||||||||||||||||||||||||||||||||||||||||||||||||
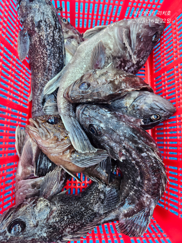
|           안녕하세요 안면도 우럭낚시체험 출항중인 피싱게이트 선단의 리치호 6월22일 12명의 초보조사님들과 함께 오후시간배 출항 하였습니다. 많은 조황은 아니지만 초보자분들께서 잘 따라해 주셔서 우럭 몇수 낚고 입항하였습니다. 처음이시라 서툴러 잘 따라 하지는 못하였지만 그래도 열심히 낚아주셨네요 전일 함께하신 12명 초보조사님들께 감사드리고 안면도 여행 충분히 휴식고 올라가세요 안면도 우럭낚시체험 피싱게이트 선단의 리치호 항상 출항 예정이오니 연락 주시면 최선을 다해 정성껏 모시겠습니다. 감사합니다.  ■ 안면도 No.1 대형선단 18척 이상 항시대기 ■ 피싱게이트 예약문의 : 010 - 4757 - 4753 ■ 피싱게이트 사무실 : 충남 태안군 안면읍 백사장 1길 28 1층 피싱게이트 ■ 출항지 : 방포항, 내포항(라암도항), 구매항, 영목항, 그늘미항 
 
 | |||||||||||||||||||||||||||||||||||||||||||||||||||||||||||||||||||||||||||||||||||||||||||||||||||||||||||||||||||||||||||||||||||||||||||||||||||||||||||||||||||||||||||||||||||||||||||||||||||||||||||||||||||||||||||||