| 제목 : 안면도 우럭낚시체험 피싱게이트 리치호 7월20일 오후시간배 출항! | |||||||||||||||||||||||||||||||||||||||||||||||||||||||||||||||||||||||||||||||||||||||||||||||||||||||||||||||||||||||||||||||||||||||||||||||||||||||||||||||||||||||||||||||||||||||||||||||||||||||||||||||||||||||||||||
| 등록일 : 2025-07-21 | |||||||||||||||||||||||||||||||||||||||||||||||||||||||||||||||||||||||||||||||||||||||||||||||||||||||||||||||||||||||||||||||||||||||||||||||||||||||||||||||||||||||||||||||||||||||||||||||||||||||||||||||||||||||||||||
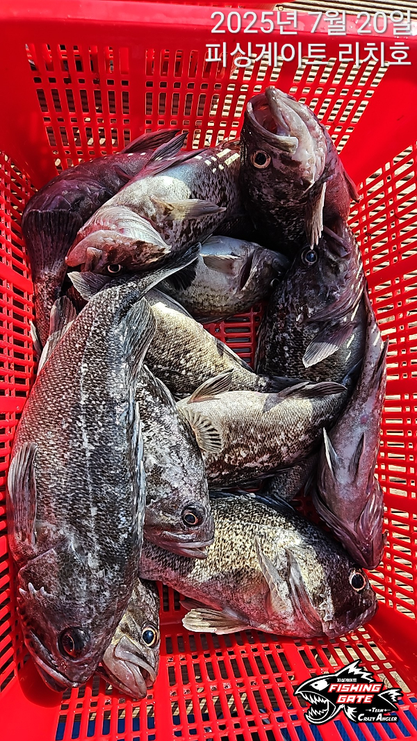
|              안녕하세요 태안 안면도 우럭낚시체험 출항중인 피싱게이트 선단의 리치호 7월20일 9명의 조사님들과 함께 오후시간배 출항하였습니다. 
 낚아주셨고 큰싸이즈 우럭들이 다수 나와주었습니다. 
 감사드리고 즐거운 추억되셨길 바랍니다. 
 피싱게이트 선단의 리치호 항상 출항 예정이오니 연락 주시면 최선을 다해 정성껏 모시겠습니다. 감사합니다.  ■ 안면도 No.1 대형선단 18척 이상 항시대기 ■ 피싱게이트 예약문의 : 010 - 4757 - 4753 ■ 피싱게이트 사무실 : 충남 태안군 안면읍 백사장 1길 28 1층 피싱게이트 ■ 출항지 : 방포항, 내포항(라암도항), 구매항, 영목항, 그늘미항 
 
 | |||||||||||||||||||||||||||||||||||||||||||||||||||||||||||||||||||||||||||||||||||||||||||||||||||||||||||||||||||||||||||||||||||||||||||||||||||||||||||||||||||||||||||||||||||||||||||||||||||||||||||||||||||||||||||||