조황관리HOME / 조황관리 / 상세정보

제목 : 구매항 우럭시간배 피싱게이트 나무호 12월19일 오전배출항!
등록일 : 2025-12-19










































안녕하세요
안면도 구매항 우럭시간배
출항중인 피싱게이트 선단의
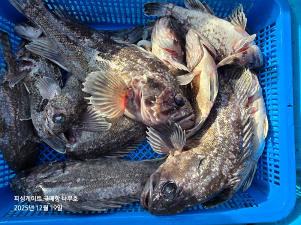
나무호 12월19일 6명의
조사님들과 함께 오전시간배
출항하였습니다.

많은 조황은 아니지만
씨알 좋은 우럭들이 좀
나와주었고 드실만큼의
충분한 조황으로 입항하였습니다.

오전시간배 탑승해주신
6명의 조사님들께 감사드리고
올라가시는 길 안전운전
하시길 바라겠습니다.

안면도 구매항 우럭시간배
피싱게이트 나무호 오전배 오후배
항상 출항 예정이오니 연락
주시면 최선을 다해 정성껏
모시겠습니다. 감사합니다.
피싱게이트_로고01.jpg

■ 안면도 No.1 대형선단 18척 이상 항시대기

■ 피싱게이트 예약문의 : 010 - 4757 - 4753

■ 피싱게이트 사무실 : 충남 태안군 안면읍 백사장 1길 28 1층 피싱게이트

■ 출항지 : 방포항, 내포항(라암도항), 구매항, 영목항, 그늘미항

선상낚시 바로예약 : http://fishinggate.sunsang24.com


 


 

피싱게이트 선단 선상/좌대낚시 요금표
종목대상어종입,출항 시간선비낚시대+채비+미끼중식포함시합계예약방법
바다낚시터
좌대유터
자연식오전06:00~16:00 (하절기)
07:00~16:00 (동절기)
3만원장비X, 채비X, 미끼X (대여가능)미포함3만원바로예약
가능
자연식(초등생)1만원1만원
야간-자연식오후17:00~08:005만원장비X, 채비X, 미끼X (대여가능)5만원
입어식오전07:00~16:005만원낚싯대제공, (미끼,바늘)X5만원
입어식(초등↓)3만원3만원
독립식오전08:00~15:008명 50만원50만원
추가1인 5만5만원
시간제
생활체험낚시
 우럭, 백조기
주꾸미외
오전06:00~12:00 (6시간)6만원우럭, 백조기2만원, 주꾸미 1만원미포함7~8만원
오전07:00~12:00 (5시간)5만원1만원(낚싯대+채비+미끼)6만원
초보 낚시인에게 적합! 
오전08:00~12:00 (4시간)4만원1만원(낚싯대+채비+미끼)5만원
오후13:00~17:00 (4시간)4만원1만원(낚싯대+채비+미끼)
오후13:00~18:00 (5시간)5만원1만원(낚싯대+채비+미끼)6만원
주꾸미 9월적용오후15:30~18:30 (3시간)4만원1만원(낚싯대+채비+미끼)미포함4만원
생활종일낚시내만 우럭평일06:00~15:009만원3만원포함12만원바로예약
가능
주말/공9만원12만원
중내만 우럭평일/주/공9만원12만원
중외만 우럭평일/주/공10만원13만원
백조기평일06:00~15:009만원3만원12만원
주말/공9만원3만원12만원
주꾸미평일06:00~15:009만원1만원(미끼+채비별도)10만원
주말/공9만원1만원(미끼+채비별도)10만원
갑오징어평일10만원1만원(미끼+채비별도)11만원
주말/공10만원1만원(미끼+채비별도)11만원
문어평일11만원1만원(미끼+채비별도)12만원
주말/공11만원1만원(미끼+채비별도)12만원
(주꾸미, 갑오징어 제외) 평일 독배 예약시 승선정원 11인승 이상 선박 기준 승선정원에 1명값 결제 제외 해 드립니다.
전문종일낚시광어다운샷오전06:00~15:00내만 10만원
중외만11만원
3만원포함13~14만원바로예약
가능
다잡아외수질오전06:00~15:0012만원장비X (대여가능), 생새우미끼제공
12만원
참돔타이라바오전05:00~15:0010만원미제공
참돔찌낚시오전04:30~14:3016만원장비X, 밑밥미끼 & 미끼제공
먼바다우럭오전05:00~16:0012만원전동 장비대여3만, 채비일체 별도바로예약
가능
농어외수질오전06:00~15:0012만원장비X (대여가능), 생새우미끼제공
농어캐스팅오전05:00~16:0018만원장비X , 채비X, 미끼X전화문의
버스출조어종 선택어종 및 종목에 따라 시간 변경!선비+5만원어종별 차등포함어종별차등전화문의
시즌별 절기에 따라 출항 시간 변동되오니 착오 없으시길 바랍니다.


Top