조황관리HOME / 조황관리 / 상세정보

제목 : 안면도배낚시 피싱게이트 리치호 4월11일 오후 우럭시간배 출항!
등록일 : 2026-04-12
















안면도배낚시 4월11일 리치호 우럭낚시 (오후배!)

안녕하세요
안면도배낚시 피싱게이트입니다.

4월 11일, 리치호 오후 시간배로 출항하여
패키지 손님으로 오신 초보자분들과 함께한 하루!

결과는 한마디로
“우럭이 손맛 본 날” 이었습니다.

초보자도 가능한 안면도배낚시


이번 출조의 핵심 포인트는 이거였습니다.

낚시 처음 오신 분들
패키지로 편하게 오신 손님들
장비 없이 몸만 오신 분들

그런데 결과는?


전원 손맛 성공
쿨러 채우는 조과

처음인데 이 정도면…
이미 낚시 중독 예약입니다

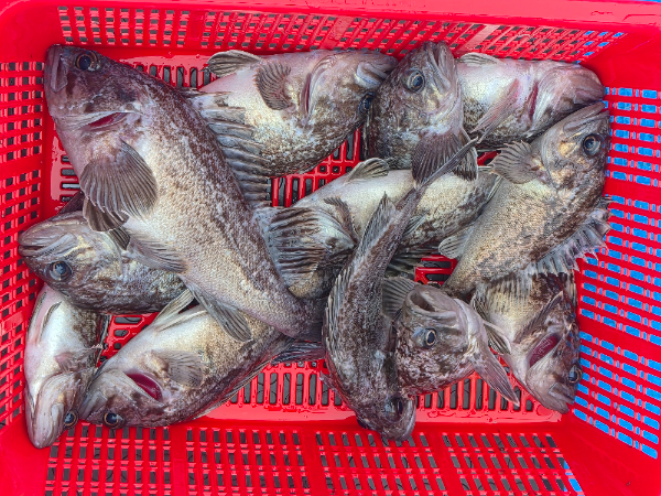
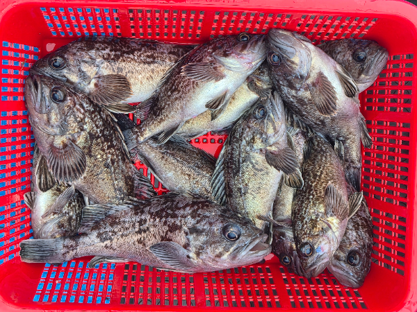
리치호 우럭 조황 상황


이날 우럭 상태는 완전히 살아있었습니다.

씨알 준수
마릿수 준수
입질 준수
 

특히 오후 시간대임에도 불구하고
입질이 준수해 꾸준히 이어지면서

짧은 시간 대비 최고 효율 조황 기록했습니다.

안면도배낚시 패키지의 진짜 장점


낚싯대 / 채비 / 미끼 / 봉돌 전부 제공
초보자도 바로 낚시 가능
숙박 + 식사까지 한번에 가능

즉,


준비 없이 와도 바로 낚시 가능
그냥 오면 된다 = 핵심

이런 분들께 강력 추천


낚시 처음인데 걱정되는 분
친구 / 가족 / 회사 워크샵 찾는 분
가성비 좋은 체험 찾는 분


지금 시즌은 특히
우럭 활성도 최고 시즌

타이밍 놓치면
다음 물때까지 기다려야 합니다.

예약은 지금이 타이밍


요즘은 좋은 날은 금방 마감됩니다.

“나중에 가야지” = 자리 없음
“지금 예약” = 재미 보장

- 안면도배낚시 피싱게이트
- 리치호 출항 중
- 초보자 100% 가능

오늘의 한줄 요약

“안면도배낚시? 고민 말고 오면 됩니다. 우럭이 기다립니다.”
피싱게이트_로고01.jpg 

■ 안면도 No.1 대형선단 18척 이상 항시대기

■ 피싱게이트 예약문의 : 010 - 4757 - 4753

■ 피싱게이트 사무실 : 충남 태안군 안면읍 백사장 1길 28 1층 피싱게이트

■ 출항지 : 방포항, 내포항(라암도항), 구매항, 영목항, 그늘미항

선상낚시 바로예약 : http://fishinggate.sunsang24.com


Top